Mint Place, CHIPLEY, FL

$374,000

Previous Next

1.46

Acres

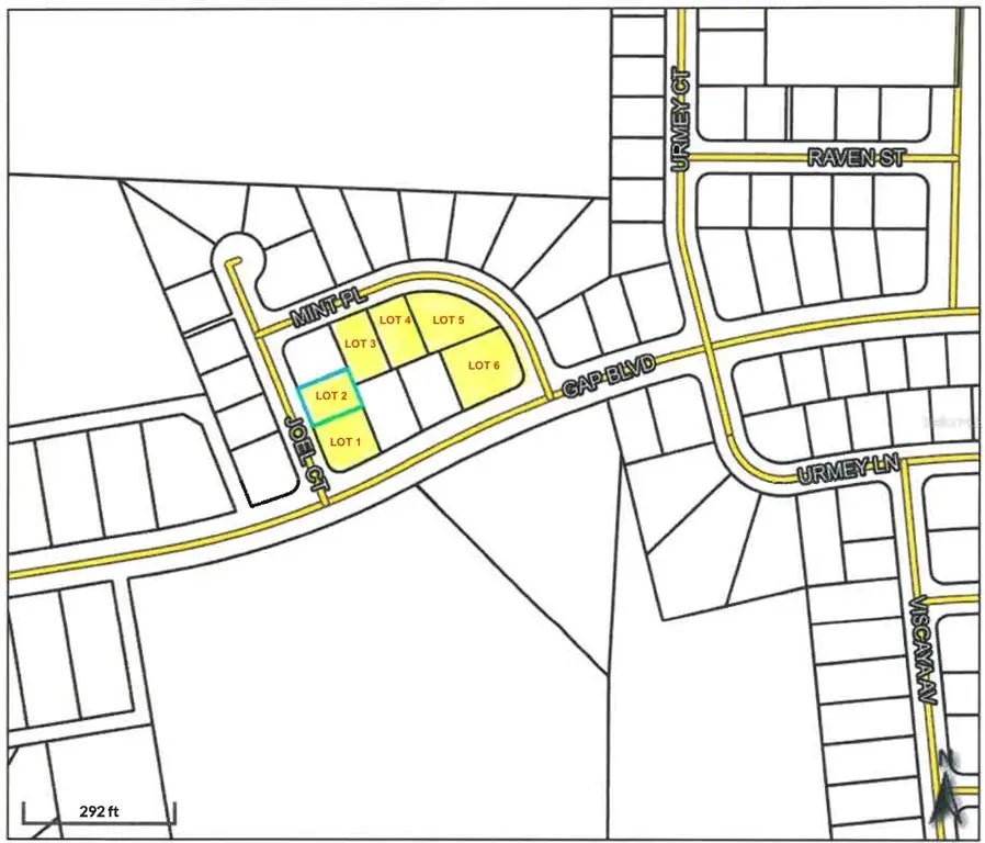
About Mint Place

Great investment opportunity! Six lots available in beautiful Washington County, Florida — perfect for building your dream home, or income property. Enjoy the peace of rural living with convenient access to nearby towns, beaches, and outdoor recreation.

Features of Mint Place

MLS® # TB8417654
Price $374,000
Acres 1.46
Type Land
Sub-Type Land
Status Active

Community Information

Address Mint Place
Area Chipley
Subdivision SUNNY HILLS UN 04
City CHIPLEY
County Washington
State FL
Zip Code 32428

Amenities

Is Waterfront No
Has Pool No

Interior

Fireplace No

Additional Information

Date Listed August 14th, 2025
Days on Market 72
Zoning X
Foreclosure No
Short Sale No
RE / Bank Owned No

Listing Details

OfficeINMOBILIATA, LLC

Listing Map

Request a Showing

Provide a valid email address.
When would you like to view this property?